
最新出价
起 拍 价:210000元(总价)
保 证 金:42000元
流转面积/数量:60000斤
转出期限:1永久
加价幅度:100元(总价)
延时周期:最后5分钟有人出价竞拍时间延长5分钟
报名时间:2026-01-14 10:00:00至2026-01-16 16:00:00
竞价时间:2026-01-19 10:00:00至2026-01-19 16:00:00







|
竞价时间
|
2026年01月19日10:00-2026年01月19日16:00
|
如未征集到意向受让方
|
延长信息披露
|
||||||||||||
|
报名起始日期
|
2026年01月14日10:00
|
报名截止日期
|
2026年01月16日16:00
|
||||||||||||
|
评估价
|
无
|
挂牌底价
|
210000元(总价)
|
||||||||||||
|
标的状况
|
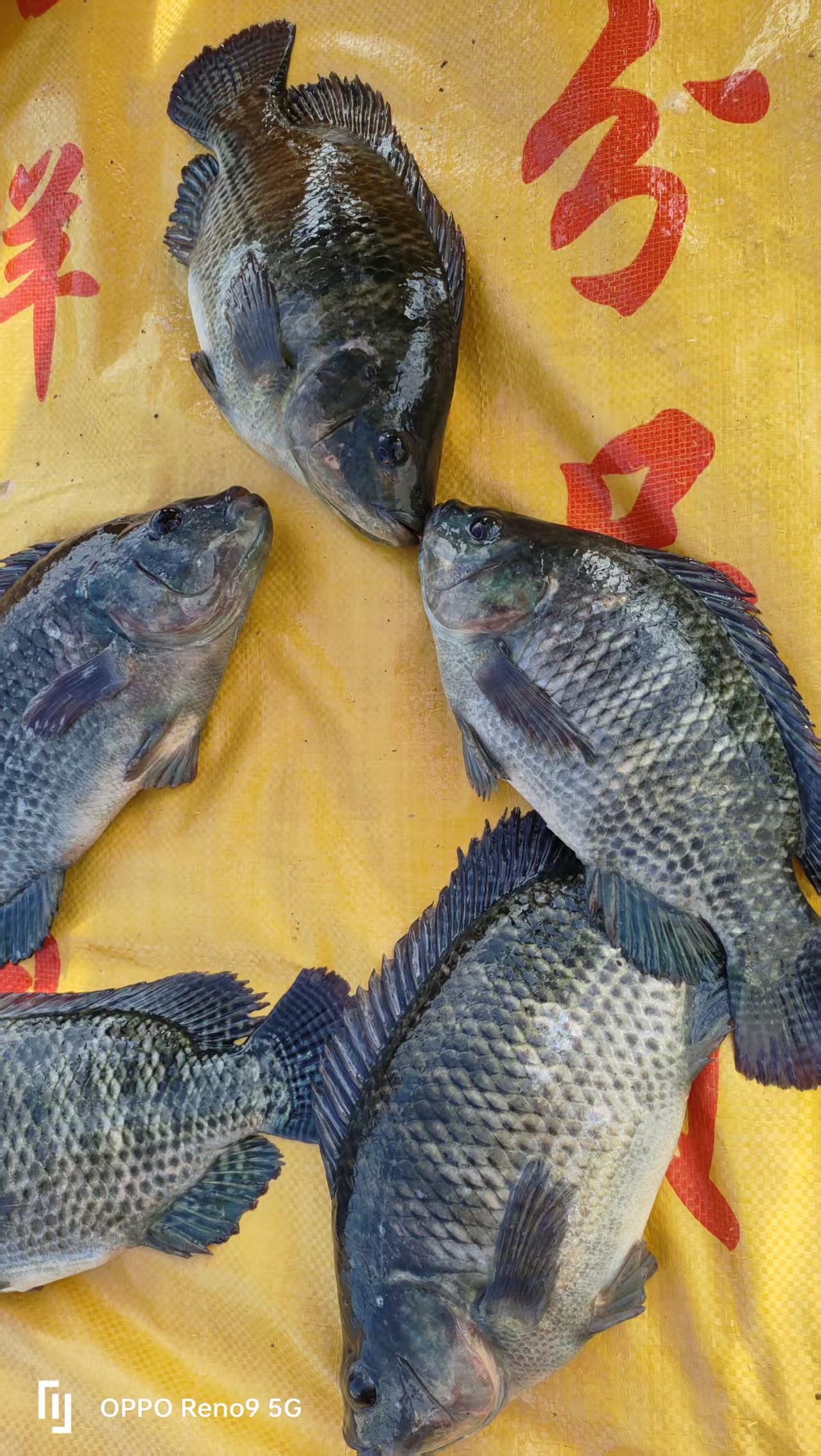
该标的物为6万斤罗非鱼,养殖时间10-11个月。
|
流转期限
|
一次性出让
|
||||||||||||
|
标的所在区域 |
文昌市文教镇加美村委会鱼塘
|
||||||||||||||
|
交易保证金
|
42000元 |
||||||||||||||
|
出让方名称
|
海南省文昌市水吼村旅游开发有限公司 |
||||||||||||||
|
出让方承诺
|
海南省文昌市水吼村旅游开发有限公司对这6万斤罗非鱼生物性资产拥有合法权属,对该标的具有完全处置权,出售行为已经过相应的有效内部决策并得到相应批准。 |
||||||||||||||
|
现场勘察联系方式
|
17789808069 |
||||||||||||||
|
出让方决策文件/批准文件
|
1、2025年11月3日海南省文昌市水吼村旅游开发有限公司召开关于本公司6万斤罗非鱼出售的会议; 2、2025年11月4日文昌市文教镇加美村党支部委员会会议提议关于海南省文昌市水吼村旅游开发有限公司6万斤罗非鱼出售事项; 3、2025年11月4日文昌市文教镇加美村村“两委”会议商议关于海南省文昌市水吼村旅游开发有限公司6万斤罗非鱼出售事项; 4、2025年11月6日文昌市文教镇加美村党员大会会议审议关于海南省文昌市水吼村旅游开发有限公司6万斤罗非鱼出售事项; 5、2025年11月10日文昌市文教镇加美村村民代表大会决议关于海南省文昌市水吼村旅游开发有限公司6万斤罗非鱼出售事项。
|
||||||||||||||
|
受让方资格及相关条件
|
1、意向受让方须为在中国境内依法注册并存续的法人、非法人组织或具备完全民事行为能力的自然人,不接受联合体报名。 2、意向受让方在竞买申请前,应仔细阅读本平台交易规则及标的信息,并全面了解交易资格条件及相关政策法规,正确判断自己是否具有受让资格。因不具备资格参加竞买的,由意向受让方自行承担相应的法律责任及一切后果,包括但不限于费用、风险和损失。 3、受让方在竞得后因自身原因未能成功签约的,所缴纳的交易保证金将作为违约金扣除,在平台扣除交易服务费用和相关费用后,剩余部分作为补偿划归出让方,出让方及其相关方保留继续向受让方主张相应的赔偿责任。 4、本项目有关信息由出让方提供,平台对其不承担保证及其他法律责任,出让方按标的现状流转该标的,受让方报名即接受现状。 5、信息公告期间意向受让方应亲自全面完成现场实地踏勘,标的现状以实地踏勘为准。 6、此次交易为一次性出让,成交后交易价款需一次性支付至出让方账户。最终成交价将按照竞价成交总价除以挂网数量得出成交单价,即:成交单价=竞价成交总价÷挂网数量(60000斤);成交总价则根据实际交付量乘以成交单价计算,即:成交总价=成交单价×实际交付量(罗非鱼过磅总重量)。 7、非出让方原因,受让方延期付款,每迟延一日,受让方按日向出让方支付迟延付款金额0.5‰的违约金,直至款项付清之日止,出让方有权相应地迟延交付货物。 8、若出让方未能按本合同约定时间及方式将全部货物与受让方进行交付时,每迟延一日,出让方按日向受让方支付逾期交付货物总价0.5‰的违约金,直至全部货物交付之日止。
|
||||||||||||||
|
重要揭示
|
1、出让标的物为60000斤罗非鱼,养殖时间10-11个月。 2、本次出让所涉及的各项费用,由交易双方按照约定各自承担。 3、成交后标的物捕捞与运输由受让方解决。 4、成交价款为出让方标的物交货价,不含包装、运输及其他费用。如受让方要求出让方提供送货服务的,送货服务费及相关责任由双方在《罗非鱼出售合同》中约定。 5、竞价成交后标的物交割地点为加美村委会鱼塘,受让方需在项目成交后自行前往标的物所在地交割标的物,受让方应与出让方签订称重确认单。 6、若挂网期间个别标的物因疾病、死亡等原因无法正常交割,由交易双方向文昌农村产权交易中心出具情况确认书。出让方需减免病、死个体对应重量的金额,成交总价按以下方式计算:成交总价=成交单价×(罗非鱼过磅总重量-病死个体总重量)。出让方及文昌农村产权交易中心不承担其他责任,受让方不得因标的物的部分个体灭失为由提出终止交易申请。 7、出让前后孳息处置方式:出让前生物孳息归属出让方,出让后生物孳息归属受让方。 8、因本次标的物为活体,如受让方逾期未交割,文昌农村产权交易中心视其自动放弃受让方资格,将按照约定扣除交易保证金,标的物将由出让方另行处置,因此造成的损失由受让方自行承担,文昌农村产权交易中心不承担任何责任。 9、其他未尽事宜在交易双方签订的《罗非鱼出售合同》中约定。 10、交易成交后,受让方需在3个自然日内签订由出让方提供的《罗非鱼出售合同》,并按照平台出具的标的竞得书支付交易服务费,交易价款按照标的物实际重量结算。若因受让方原因未在规定时间内签订标的竞得书、合同、支付交易服务费和支付交易价款,视为受让方违约。
|
||||||||||||||
|
报名流程
|
竞买人须在2026年01月16日16:00时之前自行登录文昌农村产权交易中心网站(https://wenchang.nongjiao.com/)进行用户注册(注册为竞买方)报名,报名时须自行下载《报名材料》、填写后上传《报名材料》、主体资格证明文件等拍照件或扫描件,并将交易保证金缴到文昌农村产权交易中心指定账户(以到账为准)
4、若存在委托代理的情况,需附上授权委托书原件及委托代理人身份证(复印件);
|
||||||||||||||
| 竞价规则 |
1、参与竞价的客户必须提前预约并缴纳交易保证金,取得报价资格后才能进行报价,价格不低于公布的底价。
8、竞价结束时未竞得方的交易保证金,由平台确定竞得方后,10个工作日内原额原途径返还。
|
||||||||||||||
| 交易保证金不退还规则 |
1、违反相关规则,扰乱市场秩序的客户。
2、竞价成功后放弃付款的客户。
3、未按规定时间完成订单结算的客户。
4、哄抬价格,牟取暴利等行为。
5、故意提供虚假、失实材料造成出让方和平台损失的。
6、违反法律法规或相关规定给出让方造成损失的。
7、相互串通,影响公平竞争,侵害出让方合法权益的。
|
||||||||||||||
| 交易保证金缴纳方式 |
仅支持网银转账或线下银行转账
交易保证金账户: 单位名称:文昌市农村产权交易中心有限公司 开户行:海南文昌农村商业银行股份有限公司文昌支行 账号:1021626100000227
交易保证金缴纳注意事项: 公司名义报名:公司公户缴纳交易保证金 个人名义报名:本人银行账户缴纳交易保证金
|
||||||||||||||
| 服务费收费标准及缴纳方式 |
本次交易应缴纳的交易服务费由竞得方缴纳,收费基数按照总成交金额(总租期租金总额)确定:如仅有一人报名,出价竞得的情况,100(含)万元以下部分按1%缴纳;如有两人及以上报名,出价竞得的情况,100(含)万元以下部分按1.2%缴纳。(具体收费标准请以平台发布的《文昌农村产权交易中心收费管理办法(试行)》内容为准)
仅支持网银转账或线下银行转账
交易服务费账户 单位名称:文昌市农村产权交易中心有限公司 开户行:海南文昌农村商业银行股份有限公司文昌文城支行 账号:1021626100000181
服务费缴纳注意事项: 公司名义中标:公司公户缴纳服务费 个人名义中标:本人银行账户缴纳服务费
|
||||||||||||||
| 咨询电话 |
项目(报名)咨询:交易部 0898-6328-0068
|
||||||||||||||
| 平台地址 |
海南省文昌市文城镇沿江东路3号
|
||||||||||||||